Портал в режимі тестування та наповнення
Меню

У Миколаївському районі поліцейські викрили браконьєра на незаконному вилові риби

Опубліковано 15 листопада 2024 року о 14:32

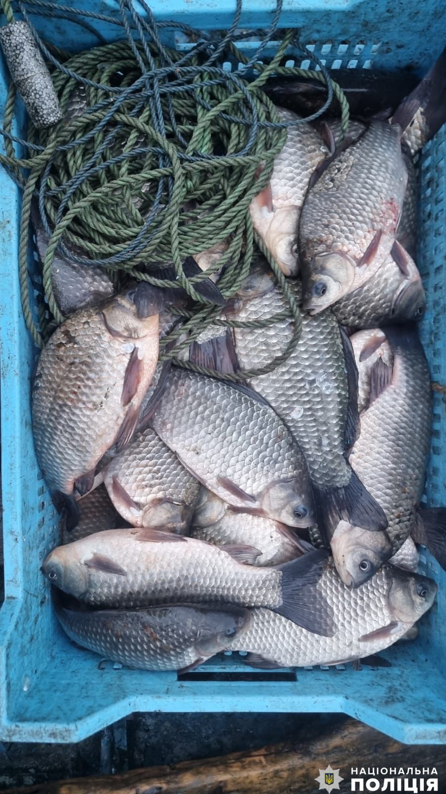
У правопорушника правоохоронці вилучили човен, мотор,автомобіль, знаряддя лову та більше 160 особин карася, яку передали на відповідальне зберігання рибоохоронному господарству. За незаконне зайняття рибним промислом зловмиснику загрожує до трьох років обмеження волі.

Під час відпрацювання акваторії річки Південний Буг у межах Ольшанської громади біля села Ковалівка оперативники карного розшуку поліцейські відділу поліції № 5 Миколаївського управління разом із представниками рибоохоронного патруля викрили рибалку, який на річці за допомогою забороненого знаряддя лову - сіток здійснював незаконний вилов риби.

У рибалки поліцейські вилучили 2 одиниці забороненого риболовного знаряддя, човен, мотор, транспортний засіб, 164 особин риби сріблястого карася.

Вилучений біоресурс поліцейські передали на відповідальне зберігання рибоохоронному господарству.

За попередніми підрахунками, сума завданих державі збитків становить майже 260 тисяч гривень.

За вказаним фактом дізнавачі відділення поліції № 5 Миколаївського райуправління розпочали досудове розслідування за ознаками ч. 1 ст. 249 КК України «Незаконне зайняття рибним, звіриним або іншим водним добувним промислом». Санкція статті передбачає покарання від штрафу до обмеження волі на строк до трьох років.

Шановні громадяни! Нагадуємо, що риболовля у осінньо-зимовий період дозволяється виключно поза межами зимувальних ям та лише зимовими вудками. При цьому загальна кількість гачків не повинна бути більше 7 на одного рибалку. 

Закон забороняє використання одинарних з'єднаних між собою подвійних і потрійних гачків без мормишки, природної або штучної приманки та риболовлі за допомогою багренії. 

Також рибалкам слід пам'ятати про засоби для вимірювання маси та довжини риби. Наприклад, добова норма вилову становить 3 кг плюс одна особина, розмір якої перевищує мінімальний дозволений для вилову.

 

 Відділ комунікації поліції Миколаївської області

1 з 6
2 з 6
3 з 6
4 з 6
5 з 6
6 з 6

Outdated Browser
Для комфортної роботи в Мережі потрібен сучасний браузер. Тут можна знайти останні версії.
Outdated Browser
Цей сайт призначений для комп'ютерів, але
ви можете вільно користуватися ним.
67.15%
людей використовує
цей браузер
Google Chrome
Доступно для
  • Windows
  • Mac OS
  • Linux
9.6%
людей використовує
цей браузер
Mozilla Firefox
Доступно для
  • Windows
  • Mac OS
  • Linux
4.5%
людей використовує
цей браузер
Microsoft Edge
Доступно для
  • Windows
  • Mac OS
3.15%
людей використовує
цей браузер
Доступно для
  • Windows
  • Mac OS
  • Linux